我们写过坐71路公交专用车漫游上海系列文章
第一篇见2018年4月18日
《升平街斜桥弄张园随便散个步,咖啡香赶不走生煎熏出的市井味》
第二篇见2018年4月24日
《上海最重量级别的建筑遗产在外滩街道 穷游自有一套玩法》
文章发表后有熟悉当地情况的读者留言说,升平街应该写昇平街,今天我们就改正了。
昨天去晃了一圈南汇路奉贤路,回到泰兴路南京西路口,这不正对着著名的张园吗?走起。先做个说明,不少文章写张园会引用到如下的图,其实这两个不在上海的,在天津,也叫张园。这个尖顶嘹望塔楼与消失的上海张园安垲第几乎一模一样,上海张园里的尖顶嘹望塔楼为何在闭园清算后被地产商拆除,没有专家做出过说明。有一种说法是张园77号保留下来的张园遗产最多,但还是看不出安垲第的意思,存疑,以后应该有惊喜的,如同我们看了斜桥弄巨厦一头雾水,最后查到早年业主还是很有点小成就感的。
天津张园的字体和上海张园的字体一样的,谁拷贝谁啊?
上海张园的老照片,也有从点石斋画报转来的绘本。
张园1918年拍卖易主,今年正好100年。
很久以前看过熊月之先生的大作《张园与晚清社会》,非常佩服熊先生这一位上海近代史学专家,专家写得太有水平了,全面且生动,他当时找到了张叔和的女儿,获得了不少第一手资料。
在晚清上海,张园是市民各界最大的公共活动场所。张园赏花,张园看戏,张园评妓,张园照相,张园宴客,吃茶,纳凉,集会,展览,购物……张园之名,日日见诸报刊;张园之事,人人喜闻乐见。张园,成了上海人生活中不可或缺的部分。
熊月之在《档案与史学》(1996年6月刊)发表了《张园:晚清上海一个公共空间研究》,可以说从这篇1996年的论文开始,上海近代史学一批研究成果奠定了张园的历史地位。
张园里的指路牌很简单的,墙上时不时还来一点有些无病呻吟的句子。
我们就拍点让历史自己说话的图片,斜阳落下的弄堂阴阳面、历史修补工艺法、耐得住寂寞的砖雕、红砖墙上绿色防水涂料以及除不尽的小广告牛皮癣。
这里会是新天地吗?
这里会是田子坊吗?
这里会是建业里吗?
这里会是丰盛里吗?
没有了100年前的张园史实,会怎么样?
现在的张园其实是当地土地级差开发和城市更新过程中的一个甜蜜的难点。
盛名之下,回不去的张园。
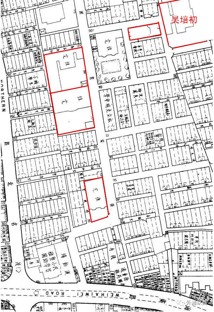
重点说一下这个造型独特的大宅,了解邬达克建筑地图的都知道这个房子被称为斜桥弄巨厦。
原先的车库门最近关闭,现在从张园进入公惠医院的门没有了,只能从石门一路315弄6号进出。
目前是买进静安四季小区低楼层的好机会,公惠医院确定搬迁了,不会再因为自己家阳台望出去看到楼下是医院,心理总觉得有点那个的。这个消息来自于静安区规土局向市规土局发出的一份文件,政务公开的。文件指出:经全区范围研究,公惠医院现已具备了医疗功能迁出、以及拆除后期加建的可能性,为历史建筑更新利用创造条件。文件名称比较专业:关于申请《上海市南京西路历史文化风貌区保护规划》暨《静安区静安寺社区C050401单元控制性详细规划》113、114、115街坊局部调整的请示
有兴趣的可以正大光明当回"病人"进去给大宅门做个建筑“透视”。
在附近还有两个医院可以进去探究一番的,以前都是大户人家的独立大宅,青海路上的周湘云公馆现在岳阳中医院青海路门诊部;石门一路67弄1号中医医院石门路门诊部,具体户主尚不得知,算是昇平街的一件文物建筑疑案。而斜桥路巨厦很多人只知道设计师的名字不知道业主的名字,经过努力,从路透社当年驻北京记者兰特的Flickr照片集里发现了一点信息,兰特2015年重返上海的时候专门到过张园进去过公惠医院,他断定这个房子是属于一个叫Percy Wu/Woo的,他曾经是花旗银行的买办。
有名字虽然是英文名字,有工作单位,应该是可以轻松查到的吧,而事实并非如此,查啊查到了朱博泉,英文的名对的,服务花旗很多年也对的,就是姓不对,再看人家一直住在华山路范园27号大宅的。
另起炉灶,等搜索引擎里跳出来Percy Wu/Woo
突然有一天从搜索出来英国金融时报记者到上海采访日记,记者得到一位汉学家Peter Hibbard帮助进入到医院,我们才知道了这个业主的中文名字怎么写:
吴培初
吴培初任职花旗银行上海分行时期(1932-1941年),恰逢花旗在华业务十分兴旺的时期。吴培初原籍苏州,1887年生于上海。花絮一下,上海交通大学的华山路校门1934年重修过一次,捐款最多的就是吴先生,落成后他也低调不出席让女儿代替去剪彩。
关键词:旧上海的外商银行买办(华经理)史略
作者:吴培初;写得很详细,做金融和地产应该认真阅读的。
按照我们喜欢的人文地理学的分析,最先”到达“此地的除了张园门口大宅值得看之外,张园106支弄2号有点意思,和吴培初是邻居。此宅和其他大宅门不同的是东西朝向的,南侧是条窄弄,其实就是人家建造三栋石库门的地皮此业主要求自己家横着造一栋。
门口的对称椭圆型大窗户比较少见。
按照弄堂游线路走一路,照片很多,拍的好的不多的。
威海路590弄41号外墙上的刚锋摄影师招牌让人眼前一亮。
值得隆重推荐也算是本专题的另一个侧重报道方向点,王刚锋先生将张园作为摄影基地,拍摄出令世界惊艳的人物照片。
上海本地石库门文化猎奇项目。
隔壁的四季酒店在自己的全球网站上也是非常隆重推荐这个上海旅游项目的,酒店和王刚锋合作的。
如上都是在六开间里弄公馆门口拍摄的。
因为王刚锋是张园的原住户,里弄的男女老少都熟悉的,点头的或者拍肩胛的。当然邻居对他把老外引进来拍照片有各种看法,求同存异,拍摄还是在继续进行的。
我们觉得一切发生得很自然。
中国的功夫拳脚和太极都可以施展一下的。
我觉得他给孩子拍摄的芭蕾舞那些照片是最有魅力的。
全世界独一无二。
喜欢中国文化的老外很多的。
我最早知道这个老外喜欢的摄影留念项目,大概有10年了,我们服务过的一个跨国企业高管一家四口,拍摄了一张坐在黄鱼车上照片。
买好菜后,71路公交专用车,回家。
王刚锋摄影作品来自其个人英文网站。
其摄影业务包含了家庭照片拍摄,商业照片拍摄,当然作为摄影家,个人摄影创作不可少。
Go to "Discover" > "Top Stories" > "Wow"